About El Cajon
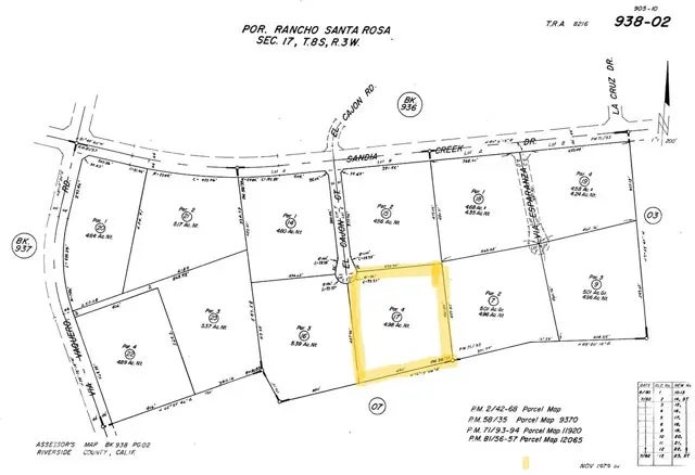
GREAT location to build a custom home, Property is 4.98 acres. Multi Million dollar homes built in the area. Parcel is located at the end of El Cajon.
Features of El Cajon
| MLS® # | CRIV25090600 |
|---|---|
| Price | $325,000 |
| Acres | 4.98 |
| Type | Land |
| Sub-Type | Unimproved Land |
| Status | Active |
Community Information
| Address | El Cajon |
|---|---|
| City | Temecula |
| County | Riverside |
| State | CA |
| Zip Code | 92590 |
Amenities
| Utilities | No Water/Sewer |
|---|---|
| View | Hills |
| Is Waterfront | No |
| Has Pool | No |
Interior
| Fireplace | No |
|---|
Exterior
| Lot Description | Cul-De-Sac |
|---|
Additional Information
| Date Listed | April 25th, 2025 |
|---|---|
| Zoning | R-A- |
| Foreclosure | No |
| Short Sale | No |
| RE / Bank Owned | No |
Listing Details
| Agent | Marla Booth |
|---|---|
| Office | BETTER HOMES AND GARDENS REAL ESTATE CHAMPIONS |
