Ave P8/sierra Highway, Palmdale, CA

$345,000

Previous Next

1.27

Acres

About Ave P8/sierra Highway

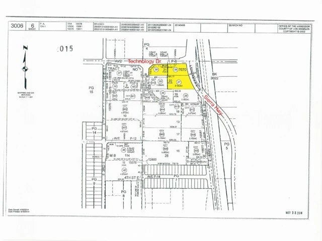
1.27+/-Acre SW Corner paved Ave. P-8 (Technology Drive) Transportation Centre Dr., Zoning is Plan Development Industrial property (PDM1) All utilities in the Street. It is just across the street from Palmdale's new transportation center. Fwy. 14 just 1/2 mile to the west. Trade & Commerce Center just west of Fwy. 14. Winnell Industrial center 300' north of the subject property. The Palmdale Air Terminal is just 3.5 miles to the east. Palmdale carries the nickname of "aerospace capital of the United States", which has been the home for research, development, and testing of several important aircraft. Palmdale is home to Lockheed Martin, Boeing, NASA, Northrup Grumman, and Air Force Plant 42. Several other manufacturing users have relocated to Palmdale seeking cheaper land alternatives to Los Angeles as well as to take advantage of various tax incentives. This movement, along with the continued growth of the residential population solidifies Palmdale as an attractive long-term investment. You may google the following GPS coordinates to locate the property: 34.594228 -118.122492

Features of Ave P8/sierra Highway

MLS® # CRSR23158074
Price $345,000
Acres 1.27
Type Land
Sub-Type Unimproved Land
Status Active

Community Information

Address Ave P8/sierra Highway
City Palmdale
County Los Angeles
State CA
Zip Code 93550

Amenities

View Other
Is Waterfront No
Has Pool No

Interior

Fireplace No

Exterior

Lot Description Irregular Lot, Level

Additional Information

Date Listed August 23rd, 2023
Zoning PDM1
Foreclosure No
Short Sale No
RE / Bank Owned No

Listing Details

AgentRichard Khatibi
OfficeRich Estate Props

Listing Map

Request a Showing

Provide a valid email address.
When would you like to view this property?